إعصار “ميليسا” يضرب جامايكا بأقوى سرعة في تاريخها ويخلّف دمارًا واسعًا
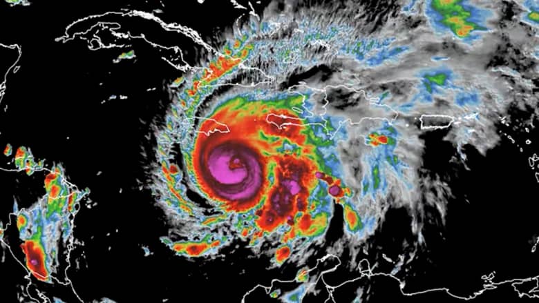
اجتاح إعصار “ميليسا”، المصنف في الفئة الخامسة وهي الأعلى على مقياس الأعاصير، جزيرة جامايكا صباح الثلاثاء، متسببًا في دمار واسع وانقطاع التيار الكهربائي عن مناطق عديدة، وسط تحذيرات رسمية من السلطات بضرورة البقاء في المنازل وعدم المجازفة بالخروج.
وقالت الهيئة الوطنية الأمريكية للأعاصير إن الإعصار ضرب اليابسة في الجنوب الغربي من البلاد قرب منطقة “نيو هوب“، بسرعة رياح بلغت حوالي 300 كيلومتر في الساعة، مما يجعله الإعصار الأقوى في تاريخ الجزيرة منذ بدء تسجيل البيانات المناخية. وأوضحت الهيئة أن “ميليسا” تجاوز في شدته إعصار “كاترينا” الذي اجتاح الولايات المتحدة سنة 2005، مشيرة إلى أنه أقوى عاصفة استوائية يشهدها العالم خلال العام الجاري.
وقبل أن يلامس الإعصار الأراضي الجامايكية، كانت الجزيرة قد شهدت أمطارًا غزيرة ورياحًا عاتية تسببت في فيضانات وانقطاعات متكررة للكهرباء في العاصمة كينغستون وعدة مناطق أخرى. وقال وزير الجماعات المحلية، ديسموند ماكنزي، إن الوضع “خطير جدًا”، داعيًا المواطنين إلى التحلي بالمسؤولية وعدم المغامرة بحياتهم، بينما دعا العداء العالمي أوسين بولت عبر منشور له على منصة “إكس” السكان إلى “الالتزام بالمنازل والبقاء في أمان”.
وأعلنت السلطات حالة الطوارئ العامة في المناطق الساحلية وأغلقت المدارس والمطارات والموانئ بشكل مؤقت، مع نشر فرق الإنقاذ والجيش في عدد من المدن تحسبًا لأي طارئ. كما حذرت الأرصاد الجوية من ارتفاع الأمواج إلى عشرة أمتار في بعض السواحل، واحتمال انهيار المنازل الضعيفة بسبب قوة الرياح والأمطار المستمرة.
ويرى مراقبون أن حجم الأضرار قد يكون كارثيًا نظرًا لهشاشة البنية التحتية في البلاد وضعف الإمكانيات المتاحة للتعامل مع الكوارث الطبيعية، مشيرين إلى أن عملية إعادة الإعمار ستتطلب وقتًا طويلًا ودعمًا دوليًا واسعًا. كما حذر خبراء من أن هذا الإعصار يشكل إنذارًا جديدًا حول تزايد قوة الأعاصير نتيجة التغيرات المناخية التي يشهدها العالم.
إعصار “ميليسا” لم يكن مجرد ظاهرة طبيعية عابرة، بل محطة تاريخية مأساوية في مسار الكوارث المناخية، أكدت من جديد هشاشة الدول الصغيرة أمام تقلبات الطبيعة وقوة المناخ المتغير.

